文丘里是什么?
文丘里除尘滤袋是由袋口的文丘里管连接底部滤袋组成的,其作用在于促进喷出的压缩空气与被诱导的二次气流尽快进行能量交换。

图1 文丘里管的形貌
文丘里管的形状如图1所示,属于除尘器配件之一,通常与除尘骨架配套使用。
背景
本工作用文丘里管由361L不锈钢制成,配合金属纤维毡滤袋在某造纸污泥焚烧发电除尘项目中进行了应用,该工况温度波动较大(90℃~300℃),一般的布袋容易产生“烧袋”,另外该工况的含尘气体中Cl-、S2-的含量较高,并且气体中水分含量较高。当除尘仓运行3个月后,检测发现排放浓度有升高趋势,立刻打开其中一个除尘仓室进行检查,发现较多的文丘里管的端口和喉管口部分出现了生锈、破裂现象,如图2所示,破裂后的铁片掉落在滤袋内部,在脉冲气体的冲刷下,导致滤袋出现破损,引起泄露。本工作针对文丘里管在此次工况下的失效原因进行了分析并提出了改进措施。

a端口

b喉管
图2 文丘里失效破损形貌
理化检验
01化学成分
由表1可见:失效文丘里管的化学成分均在参考值范围之内,满足材料使用要求,首先排除材料成分不合格原因。
表1 失效文丘里管的主要化学成分

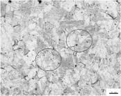
02组织分析

a端口

b喉管
图3 失效文丘里组织形貌
由图3可见:变形量较小的端口部分组织晶粒内部有大量孪晶,晶界规则,主要为奥氏体;而经过冲压变形后,喉管部分材料组织晶粒由等轴晶粒拉伸至条带状组织,具有明显的方向性。图3中还可见:冲压板的组织中晶界处出现大量的黑点区域,如圈中所示,应属奥氏体中碳化物被腐蚀后形成的点蚀坑。

图4 失效文丘里管组织的XRD图谱
如图4所示,图中出现了原始奥氏体组织的3个特征衍射峰,所对应晶面指数分别为(111)、(200)、(220),但同时也伴随着另外三个衍射峰:(110)、(200)、(211),属于马氏体组织3个特征衍射峰,通过两者峰值强度的比较可以明显看出马氏体组织占有较大比例。
03断口形貌

图5 失效文丘里管的裂纹扩展路径及断口形貌
如图5所示:裂纹起源于表面,垂直扩展,裂纹呈树枝状,裂纹断口截面平整,表现为沿晶和解理混合断裂方式,属于典型的脆性断裂,在断口截面可以观察到一些腐蚀产物,经过能谱分析后发现含有大量的Cl-、S2-,见图6。

图6 腐蚀产物能谱分析结果
文丘里管发生脆断的原因如下:一方面马氏体晶内强度大于晶界,晶粒在受力变形过程中硬度较高的马氏体和晶界碳化物会成为裂纹萌生的主要位置;另一方面外界的Cl-、S2-会对马氏体组织产生较强的腐蚀,两方面原因会导致裂纹的扩展方式属于沿晶扩展,产生脆性断裂。
改进措施
根据上述分析结果,本工况中文丘里管失效的原因是:一方面其在制备过程中产生了耐蚀性差的形变马氏体和碳化物,另外工况中水分含量高,温度变化较大,气体到达滤袋出口的温度低(90~100℃),遇到文丘里管会出现结露现象;另一方面气体受喷吹压缩空冷空气降温后也会出现冷凝。综合结果导致在袋口位置出现了Cl-、S2-的液化和富集现象,形成的腐蚀性溶液附着于袋口表面,结合喷吹压力,最终出现了应力腐蚀脆性断裂。
针对以上原因,首先通过固溶处理,将文丘里管在真空气氛下,1050℃保温30min以消除形变马氏体,使组织转变为单一的奥氏体,这有助于增加文丘里管的耐蚀性。由图7可见:经过固溶处理,形变马氏体和晶界碳化物均消失,晶粒形状为较规整的多边形,通过XRD衍射对组织进行分析后,只出现奥氏体组织的3个特征衍射峰:(111)、(200)、(220)。
在工况方面:通过提高喷吹气体温度,减少了水蒸气液化的产生,在滤芯方面,金属纤维毡采用双面复网,增加耐磨强度。通过以上改进措施,除尘设备长时间工作后仍运转正常,排放浓度达到预期要求。

图7 退火文丘里管的组织形貌
结论
1. 文丘里管在制备过程中不可避免会出现大尺寸的形变,文丘里管中的奥氏体组织经过剧烈变形后会产生形变马氏体组织,在具有腐蚀性气氛环境中使用时,硬度较高的马氏体晶界碳化物会成为裂纹萌生的主要位置,结合外界的腐蚀介质会对马氏体组织产生较强的应力腐蚀,这会导致文丘里管出现脆性断裂。
2. 针对温度变化较大,含尘气体成分复杂的工况,需要对原有除尘工艺进行改进:使用前需要对文丘里管进行固溶处理,使得马氏体转变为单一奥氏体,同时除去晶界碳化物,有助于提高文丘里管的耐蚀性;在滤芯方面,金属纤维毡采用双面复网,增加耐磨强度,可满足长时间运行的要求。
更多关于材料方面、材料腐蚀控制、材料科普等方面的国内外最新动态,我们网站会不断更新。希望大家一直关注中国腐蚀与防护网http://www.ecorr.org
责任编辑:韩鑫
《中国腐蚀与防护网电子期刊》征订启事
投稿联系:编辑部
电话:010-62313558-806
邮箱:fsfhzy666@163.com
中国腐蚀与防护网官方 QQ群:140808414
免责声明:本网站所转载的文字、图片与视频资料版权归原创作者所有,如果涉及侵权,请第一时间联系本网删除。
相关文章
官方微信
《中国腐蚀与防护网电子期刊》征订启事
- 投稿联系:编辑部
- 电话:010-62313558-806
- 邮箱:fsfhzy666@163.com
- 中国腐蚀与防护网官方QQ群:140808414
点击排行
PPT新闻
“海洋金属”——钛合金在舰船的
点击数:5768
腐蚀与“海上丝绸之路”
点击数:4763



