催化裂化装置应力腐蚀开裂失效案例
2014-12-13 16:47:19
作者:本网整理来源:=$docheckrep[1]?ReplaceBefrom($ecms_gr[befrom]):$ecms_gr[befrom]?>
自1994年5月某炼油厂催化裂化装置再生系统发生开裂事故以来,发生开裂的同类装置已达数十套,为我国腐蚀损失最大的案例。开裂是在装置掺炼重油、催化蜡油4~7年后产生。开裂设备主要包括再生器、三旋和烟道。
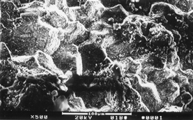
裂纹多发生在设备筒体环焊缝处,少量在母材位置,材料为16MnR、SPV355、20G和Q235-A。宏观检查表明,裂纹密度高、尺寸变化大。某催化裂化装置再生器和三旋等位置的裂纹特征如图所示,裂纹均从内表面起始向外表面扩展,无明显塑性变形,向纵深发展深,多数裂纹具有穿透性。离子色谱分析表明腐蚀产物中有硝酸根离子的存在。初步判断开裂是在特定条件下材料发生了硝酸盐应力腐蚀。

再生设备宏观裂纹

再生设备裂纹形貌

焊缝熔合线裂纹截面金相形貌图

固定销钉焊根裂纹截面金相形貌

焊缝横裂纹断口微观形貌图

固定销钉焊根裂纹断口微观形貌
结论:
(1)对某二再生器的开裂分析表明:树枝状裂纹均从装置内表面开始向外表面扩展;未见明显塑性变形;断口具有典型沿晶断裂特征,开裂属于应力腐蚀开裂。
(2)从腐蚀环境分析中可以看出,二套再生器烟气含有较多的O2、NOx和SO3,烟气具有较强的氧化性,pH值也相对较高,露点温度也比较高,而相应的设备壁温则在露点温度以下,为催化二套再生器发生硝酸盐应力腐蚀开裂提供了外界条件。烟气中存在一定量的氮化物和水蒸气,在器壁结露,形成硝酸盐水溶液,在应力共同作用下造成了硝酸盐应力腐蚀开裂事故。
(3)对NOx-SOx-COx-H2O混合烟气体系的热力学分析表明,在一定温度和压力下,混合烟气体系露点温度与硫酸蒸汽的分压有关,与体系的总压有关,与氮氧化物、碳氧化物等气体的含量无直接关系。硫酸蒸汽的分压越大,混合烟气体系的露点温度越高。氮氧化物、碳氧化物对露点温度的影响是通过对体系的总压表现出来的。
更多详细信息敬请参阅材料腐蚀丛书
《石油工业环境典型应力腐蚀--案例与开裂机理》
《石油工业环境典型应力腐蚀--案例与开裂机理》
李晓刚 刘智勇 杜翠薇 董超芳 肖葵 程学群 著
相关文章
官方微信
《中国腐蚀与防护网电子期刊》征订启事
- 投稿联系:编辑部
- 电话:010-62313558-806
- 邮箱:fsfhzy666@163.com
- 中国腐蚀与防护网官方QQ群:140808414
点击排行
PPT新闻
铝合金LDH自修复自抗菌膜层构建
点击数:466
碳钢及合金钢应用与区别
点击数:393


